住居表示の実施および町名変更に関するお知らせ(堤一丁目)
令和7年11月10日に、堤一丁目を新設し、住居表示を実施しました。

堤一丁目住居表示の実施
住居表示実施に伴い、区域内の住所が変更となります。
実施区域内にお住まいのかたには大変お手数をおかけしますが、必要に応じて住所変更手続きをお願いします。
なお、住居表示実施に伴う住所変更の申請や手続きに必要な「住居表示証明書」が必要なかたは市役所市民課において無料で発行しますので、本人確認ができる書類を持っておこしください。
郵便番号について
堤一丁目の郵便番号は〒597-0054です。
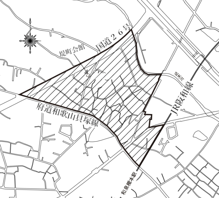
街区案内図
区域内の街区は下記PDFをご覧ください。
街区案内図(堤一丁目) (PDFファイル: 210.1KB)
- この記事に関するお問い合わせ先
-
都市整備部 用地課
電話:072-433-7419
ファックス:072-433-7054
〒597-8585
大阪府貝塚市畠中1丁目17番1号 本館5階













更新日:2025年11月10日